Kategórie
Relácie
Live ta3
Live z NRSR
Podcasty
Program
Televízia ta3
mReportér
Slovensko
Zahraničie
Ekonomika
Regióny
Šport
Tlačové besedy
Spoločnosť
Auto-Moto
Zdravie
PR správy
Súťaž
Podcasty
V politike
Král na ťahu
Téma dňa
Motoring
Pozrime sa na to
Showbiz
Zdravie
Hlavné správy
VAR
Všetky relácie
O televízii
Ľudia v ta3
Kariéra
Štatút
Nadácia ta3
Reklama
ta3 konferencie
Káčer na bicykli
Dokumenty na stiahnutie
Ako to funguje?
Android
Iphone
Politika
Slovensko
Zahraničie
Ekonomika
Regióny
Šport
Tlačové besedy
News in English
Auto-Moto
Zdravie
Spoločnosť
piatok 6. 2.
Dorota
Live ta3
Live z NRSR
ZOH 2026
V politike
O tom potom
Téma
Téma dňa
Trump
Ukrajina
Hlavné správy
VIP ta3 klub
ta3 konferencie
Štúdio ta3
Motoring
Podcasty
iSekunda
Nadácia ta3
Live
Archív
iSekunda
#Kirk Caldwell
Zahraničie
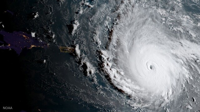
Prichádza hurikán najvyššej kategórie, mohutne udrie na Havaj
22.8.2018 10:28
Zahraničie
Výškovú budovu v Honolulu zachvátili plamene, hlásia mŕtvych
15.7.2017 09:24
strana 1
/ 1