Záhadné obrazce v ázijskej stepi sú tisícročia staré, sleduje ich aj NASA

7.11.2015 09:57

Gigantické obrazce, ktoré nedávno našli na kazašských pláňach, sú zrejme porovnateľné len so záhadnými líniami v peruánskej púšti Nazca. Pri ich odhaľovaní z vesmíru pomáha aj americká NASA.

Záhadné obrazce v ázijskej stepi sú tisícročia staré, sleduje ich aj NASA
Foto: NASA/DigitalGlobe

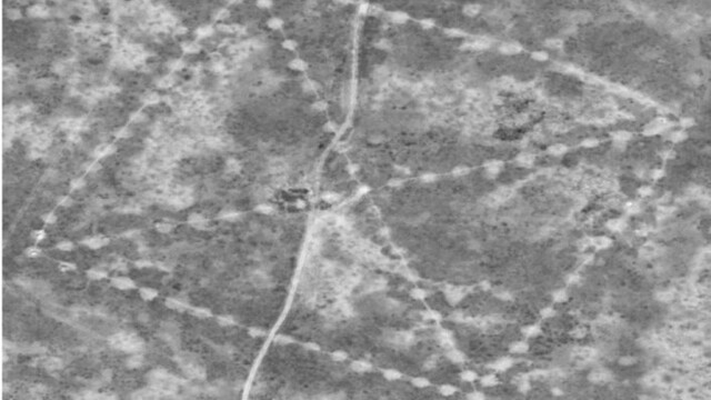
Centimetrové detaily

Starobylé tajomstvo na Zemi musí odhaľovať až vesmírna technológia. NASA uverejnila satelitné zábery kazašskej stepi, na ktorých je vidieť obrovské geometrické obrazce zložené z krížov, štvorcov a prstencov vo veľkosti niekoľkých futbalových ihrísk. Kto a prečo v pred tisícročiami vynaložil veľkú námahu na ich vybudovanie?

Najväčší obrazec je v blízkosti neolitického osídlenia. Vyzerá ako obrovský štvorec a jeho rohy sú spojené krížom. Celková plocha terénu je väčšia ako pri Cheopsovej pyramíde. Na fotografiách NASA je vidieť aj 30-centimetrové detaily spojení jednotlivých línií.

"Nikdy som nevidel niečo podobné. Považujem to za pozoruhodné," uviedol Comton J. Tucker, vedec z NASA. Pre noviny New York Times potvrdil, že NASA sa chystá zmapovať celý región. Americká vesmírna agentúra dala túto lokalitu na zoznam úloh pre astronautov na Medzinárodnej vesmírnej stanici.

Pomoc z vesmíru

NASA už v predchádzajúcich projektoch ukázala, že sa nemusí zaoberať len vesmírom, ale pomáha aj archeologickému výskumu na Zemi. V 80. rokoch s raketoplánom Space Shuttle napomohla objaveniu starovekých vodných tokov v Sudáne, v 90. rokoch v spolupráci s National Geographic študovali mayskú civilizáciu. Aj Američania pomáhajú archeologickému výskumu.

Stepná krajina bola v dobe kamennej obývaná kmeňmi, ktoré tu lovili. Vedci však žasnú pri pomyslení, že by tu kočovná populácia zostala tak dlho, aby dobudovala tak obrovské obrazce.

Štvorec aj svastika

Na zvláštne obrazce zvané geoglyfy prvý upozornil miestny archeologický nadšenec Dmitrij Dej. Na severe Kazachstanu aj s pomocou programu Google Earth zatiaľ našiel 260 obrazcov vytvorených z priekop, valov a násypov. Dej špekuluje, že obrazce by mohli využívať staré civilizácie ako akýsi slnečný kalendár, teda na sledovanie pohybov slnka.

Dejov záujem o pátranie podnietila relácia o pyramídach, ktorú videl v televízii. Začal sám na vlastnú päsť a s pomocou internetovej aplikácie hľadať podobné úkazy v domácom Kazachstane a skutočne čosi našiel. Keď objavil obrovský štvorec s krížom, najprv uvažoval, či nejde o akýsi relikt po sovietskej kultivácii pôdy. Jedna strana štvorca bola dlhá 284 metrov. Neskoršie nájdený obraz podobajúci sa na svastiku mal dĺžku 90 metrov.

Museli odísť do Európy?

Ku gigantickému štvorcu priviedol o pár mesiacov archeologický tím a v lete 2007 ho začali skúmať. "Bolo to veľmi ťažké pochopiť zo zeme," spomínal si na pátranie.

Keď urobili sondu do jednej z mohýl v okolí, takmer nič v nej nenašli. V jej okolí však boli pozostatky neolitického osídlenia z rokov asi 6 000 - 10 000 pred Kristom. Podľa Dejovej teórie obrazce vytvorili kmene, ktoré neskôr osídlili Blízky východ a Európu.

Slaná voda z Aralského jazera približne pred 6 400 rokmi takmer zničila oázu v tejto oblasti. Kmene sa vraj museli posunúť na západ, niektoré prekročili aj Kaukaz a dostali sa na Blízky východ. Podľa neho sa kmene sťahovali aj cez severnú Afriku a potom sa cez Gibraltársky prieliv dostali do Európy, kde sa usadili.

Archeologické vykopávky v roku 2007 boli len hľadaním ihly v kope sena a Dej si uvedomuje, že nemôžu prekopať všetky obrovské objekty. "Potrebujeme moderné technológie, aké majú na Západe," povedal. Jedným z účinných spôsobov by okrem pomoci NASA mohlo byť využitie dronov. Na mapovanie obrovských pamiatok na známej púšti Nazca ich používa aj peruánske ministerstvo kultúry.

zdielať
zdielať
sledovať
mReportér edit
Komentáre k článku
Zdielajte článok
Sledujte ta3 na Google news po kliknuti zvoľte "Sledovať"