Hurikán Ophelia mieri k Írsku, úrady varujú pred silným dažďom

15.10.2017 14:16

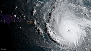
K Írsku sa blíži hurikán Ophelia. Úrady vyhlásili v niektorých častiach najvyšší stupeň ohrozenia.

zdielať
zdielať
sledovať
mReportér edit
Komentáre k článku
Zdielajte článok
Sledujte ta3 na Google news po kliknuti zvoľte "Sledovať"